ClearView News
culture /

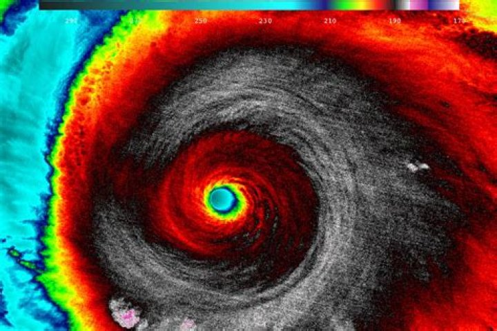
Has there ever been a Category 6 hurricane?

There is no such thing as a category 6 hurricane or tropical storm – yet. The highest level – the top of the scale for the most powerful, most devastating hurricane or tropical storm capable of destroying entire cities like New Orleans or New York – is a category 5 storm.

Could there be a category 6 hurricane?

And with researchers forecasting climate change to produce more of these "superstorms" in the future as the planet continues to warm, some climate scientists are suggesting that a "Category 6" be added to the wind scale.

Has there ever been a Category 7 hurricane?

Only one hurricane in world history would rank as a category 7: Hurricane Patricia of 2015, which peaked with 215-mph sustained winds off the Pacific coast of Mexico.

Has there ever been a Category 8 hurricane?

A Category 8 is a hypothetical Saffir-Simpson rating beyond the Category 5 rating which has never officially been recorded in human history.

Is a Hypercane possible?

The giant hurricanes might even have been partly responsible for wiping out the dinosaurs. The good news is, hypercanes still are strictly hypothetical, although some scientists say it's possible that they could appear any time, given the right conditions.

Are Category 6 Hurricanes Possible?

How strong is 200 mph wind?

Anyone foolhardy enough to go outside won't fare any better — 200-mph winds are well above what a person is capable of withstanding. "We have observed that a person cannot stand up in winds above about 75 mph without being strapped or tethered to some support," Barlow said.

Is there a category 5 hurricane?

A Category 5 has maximum sustained winds of at least 156 mph, according to this National Hurricane Center report from May 2021, and the effects can be devastating. "People, livestock, and pets are at very high risk of injury or death from flying or falling debris, even if indoors in manufactured homes or framed homes.

Can a hurricane hit twice?

The most recent occurrence was between Sept. 5 and Sept. 6, 2002 with Tropical Storm Fay and Tropical Depression Edouard when they took a dip together in warm Gulf waters for 18 hours. NOAA also has 10 occurrences of two hurricanes making landfall in the United States within days of each other.

Has there ever been a hurricane with 200 mph winds?

MELBOURNE, Fla. (AP) — The Category 6 hurricane's howling winds accelerate to a startling 200 mph in Miami, mercilessly pummeling a two-story wood-frame house until the roof tears off and the rattling windows explode.

What's more powerful than a hurricane?

Typhoons are generally stronger than hurricanes. This is because of warmer water in the western Pacific which creates better conditions for development of a storm. This unlimited amount of warm water also makes for increased frequency of typhoons.

What are the 7 categories of hurricanes?

How hurricanes are categorized

  • Category 1: Winds of 74-95 mph (119-153 km/h)
  • Category 2: Winds of 96-110 mph (154-177 km/h)
  • Category 3: Winds of 111-129 mph (178-208 km/h)
  • Category 4: Winds of 130-156 mph (209-251 km/h)
  • Category 5: Winds exceeding 157 mph (252 km/h)

What would happen if a cat 5 hurricane hit Miami?

If a major cat 5 storm makes landfall in downtown Miami, 20 miles north of where Andrew hit, losses to the insurance industry could range from $60 billion to $180 billion, according to Swiss Re models.

What is the strongest hurricane wind speed ever recorded?

Many say that the highest hurricane wind speed ever recorded was from the 1996 tropical cyclone, Olivia. This was a category 4 hurricane that passed by Barrow Island, Australia. This storm had wind speeds of 254 mph and has reigned supreme for the highest hurricane wind speed ever recorded.

What is the number 1 worst hurricane?

The Galveston Hurricane of 1900 was, and still is, the deadliest hurricane to hit the United States. The hurricane hit Galveston, Texas, on September 8, 1900, as a Category 4 hurricane.

What are the top 3 worst hurricanes?

Visit HurricaneLawyer.com to learn more today.

  1. San Felipe-Okeechobee Hurricane, 1928: 1,836 deaths. ...
  2. Hurricane Katrina, 2005: 1,200 deaths. ...
  3. Atlantic-Gulf, 1919: 600 to 900 deaths. ...
  4. Hurricane Audrey, 1957: 416 deaths. ...
  5. Hurricane Sandy, 2012: 285 deaths.

Why are hurricane names retired?

Storm names are retired if they were so deadly or destructive that the future use of the name would be insensitive. (When a name is retired, it's replaced by a new name.)

Can wind rip your skin off?

The vacuum of space doesn't make your skin explode. But high wind can definitely pick up a person. In fact, if you were standing in the parking lot, the wind wouldn't just pick you up—it would also peel the pavement from the ground! It wouldn't be strong enough to peel your skin off.

WHAT CAN 1000 mph winds do?

The end of the world wouldn't be pretty. If a big asteroid — like the one whizzing by on Wednesday — slammed into the Earth, ferocious winds of up to 1,000 mph and intense shock waves would kill the most people, according to a study published Wednesday.

What wind speed will lift a human?

"If you are a larger person, or a heavier person, it would take a lot more force to knock you off your feet," Parker says. "For a person who weighs 100 pounds (45.3 kilograms), it would take a wind speed of 40 to 45 miles an hour, or tropical storm force, to move them."

What's a Category 1 hurricane?

In a Category 1 hurricane, winds range from 74 to 95 mph. Falling debris could strike people, livestock and pets, and older mobile homes could be destroyed. Protected glass windows will generally make it through the hurricane without major damage.

Is there a hurricane coming 2022?

TAMPA, Fla. (WFLA) — The 2022 hurricane season is underway and the first named storm of the season is now behind us. Potential Tropical Cyclone One formed last Thursday in the Gulf of Mexico from remnants of Agatha, a Pacific basin hurricane.

What damage can 150 mph winds do?

*In the western North Pacific, the term "super typhoon" is used for tropical cyclones with sustained winds exceeding 150 mph. Very dangerous winds will produce some damage: Well-constructed frame homes could have damage to roof, shingles, vinyl siding and gutters.